Whatsapp »
+507 6847-7001
Properties
For sale
Apartaments for sale
Houses for sale
Offices for sale
Commercials for sale
Warehouses for sale
Lots for sale
Farms for sale
For rent
Apartaments for rent
Houses for rent
Offices for rent
Commercials for rent
Warehouses for rent
Lots for rent
Farms for rent
New projects
Contact Us
Tools
Property Sale Tax Calculator
+ ADD PROPERTY
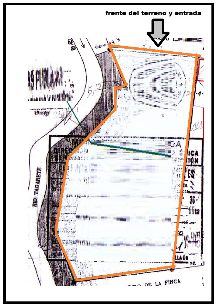
Code 0165 commercial land in the mornings
Lots for sale in Las mañanitas
Contact InmoPanama
We respond in minutes!
Property no longer available.
Find the right lot for you.
Contact our experts now.
Make a question
Request a search
Receive an answer in just few minutes!
Hello, I would like to carry out a property search with you.
Or contact us by whatsapp:
+507 6847-7001
View photos »
Want to see properties similar to this one?
We have properties with the same characteristics.
Send them to me
Price:
Check price
Size:
-m²
Code 0165 commercial land in the mornings
Commercial land in las mañanitas sale $ 1,902,750 zoning c-2 7,611 m2 of flat land located
Area:
Las mañanitas
Lots
»
Panamá
»
Provincia de Panamá
»
Ciudad de Panamá
»
Tocumen
»
Las mañanitas
Want to see properties similar to this one?
We have properties with the same characteristics.
Send them to me
Las mañanitas real estate
Lots in Las mañanitas
Send properties
We have found
8
properties.
Write the WhatsApp where you want to receive them: